こんにちは!
まだ梅雨明けしておらず、
夏に入っていませんが、
その先である秋のお楽しみ、
どんぐりの成長が著しいです。
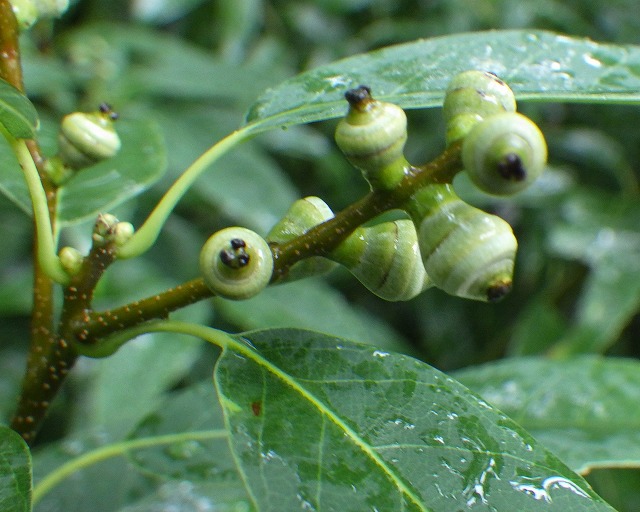
1枚目、マテバシイ、

2枚目、シラカシ。
女池地区では
スダジイ、ウバメガシもあります。
(大きなウバメガシのドングリが出来ますよ~)
秋の「〇〇〇〇まつり」のために、
覚えておいてくださいね![]()
さて、女池地区でもセミの鳴き声が賑やかです。

アブラゼミの抜け殻、見つけましたよ![]()
担当:si
こんにちは!
まだ梅雨明けしておらず、
夏に入っていませんが、
その先である秋のお楽しみ、
どんぐりの成長が著しいです。
1枚目、マテバシイ、

2枚目、シラカシ。
女池地区では
スダジイ、ウバメガシもあります。
(大きなウバメガシのドングリが出来ますよ~)
秋の「〇〇〇〇まつり」のために、
覚えておいてくださいね![]()
さて、女池地区でもセミの鳴き声が賑やかです。

アブラゼミの抜け殻、見つけましたよ![]()
担当:si